Chacabuco 100 | PZI0284

FICHA

  • Producto Depósito Galpón
  • Operación Alquiler
  • Barrio Avellaneda
  • Naves 5
  • Antigüedad 60 años
  • Estado A refaccionar
  • Sup. Total 6620,00 m2

U$S 3

ALQUILER

Chacabuco 100

Avellaneda

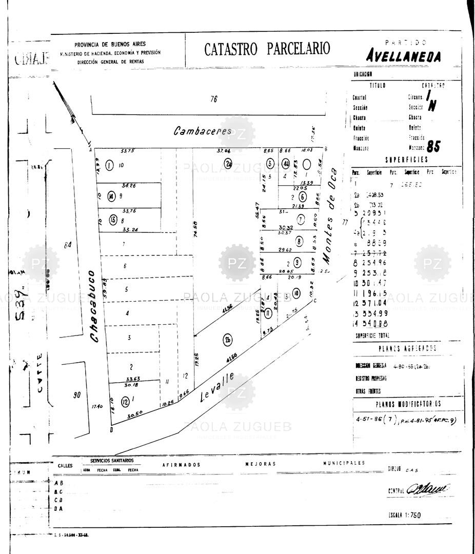
VENTA DE DEPOSITO en AVELLANEDA. Deposito ubicado en el centro de Avellaneda a una cuadra de la Avda. Bartolome Mitre y a una cuadra del Puente Pueyrredon. El inmueble dispone de salida a tres calles. Las medidas de los frentes son : Frente calle Cambaceres: 90.79 mts. Frente calle Chacabuco: 59.89 mts. Frente calle Levalle: 18.40 mts. cuenta con playa de maniobras. Zonificacion AIU


DETALLE DE LA PROPIEDAD

Dormitorio: 5
Pisos Hormigón: si

*Las descripciones arquitectónicas, valores de expensas, impuestos o servicios, fotos y medidas de las propiedades son aproximados. Los datos fueron proporcionados por el propietario y pueden no estar actualizados a la hora de la visualización de este aviso por lo cual pueden arrojar inexactitudes o discordancias con las que surjan de los las facturas, títulos o planos legales del inmueble. Se pondrá a disposición del interesado la documentación necesaria a fin de realizar las verificaciones respectivas previamente a la realización de cualquier operación, requiriendo por sí o sus profesionales la documentación que corresponda.

CONTACTO





Solicitá tu tasación !

Nuestro compromiso es acompañarte y brindarte todo lo necesario para lograr tu objetivo.

Paola Zugueb Inmuebles - CUCICBA Mat. 3914 - CPMCAL (Mat. 460, Libro 1, Folio 230)

Desarrollado por TecnoGestión Sistemas